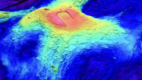
En pasado otoño boreal los investigadores instalaron equipos de monitoreo pegados a un cable subacuático, algo que les permitió recoger datos en 'tiempo real' sobre la actividad del volcán, cuya cumbre se encuentra a una profundidad de 1.500 metros.
Los sensores de presión indicaron que la erupción comenzó el 23 de abril, precedida por al menos 8.000 minitemblores en 24 horas, según contó a Reuters el geólogo Bill Chadwick, de la Universidad Estatal de Oregón.
El fondo oceánico empezó a bajar en la zona -un indicio de la expulsión de magma-, descendiendo en 2,4 metros en una semana. Las fluctuaciones de temperatura y datos sísmicos indican que la erupción tuvo lugar al norte de la caldera, según Chadwick.
LEA MÁS: ¿Estamos condenados? Hechos que alertan de que algo anómalo pasa con la Tierra
Últimamente se registran en diferentes partes del mundo varios cataclismos ambientales. Según afirman los expertos, en el planeta está sucediendo algo colosal y anómalo.

