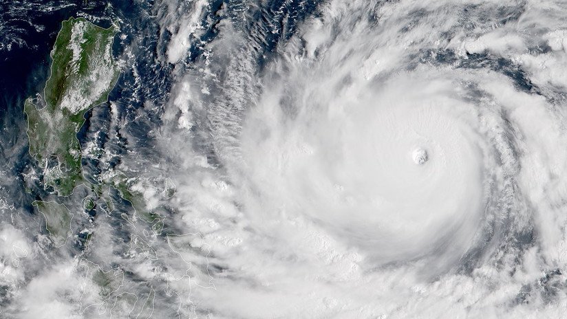
Mientras el huracán Florence sigue azotando la costa atlántica estadounidense, sobre el océano Pacífico se cierne el devastador tifón Mangkhut, que se está aproximando al norte de Filipinas.
Ante el peligro las autoridades locales ya han procedido a la evacuación de miles de personas que habitan en las zonas costeras y pequeñas islas, informa The Philippine Star.
Según una alerta de la Administración de Servicios Atmosféricos, Geofísicos y Astronómicos de Filipinas (PAGASA), para las 14:00 de la tarde de este viernes (hora local) Mangkhut tenía vientos máximos sostenidos de 205 kilómetros por hora cerca del centro y rachas de hasta 255 km/h. Se encontraba a 470 kilómetros al este de la localidad filipina de Baler y se desplazaba a una velocidad de 25 km/h.
Mangkhut representa un peligro para el norte de la isla de Luzón, poniendo en riesgo la vida de 4 millones de personas que se encontrarían bajo los efectos más devastadores de la tempestad, según las autoridades. Se esperan fuertes aguaceros, deslizamientos de tierra e inundaciones.
Mientras, desde la Cruz Roja Filipina hablan de cifras más elevadas. "Estamos preocupados por los 10 millones de personas en Filipinas que viven en el camino de esta tormenta destructiva, incluidos los que han sido desplazados varias veces debido a las lluvias monzónicas de julio y agosto pasado", ha afirmado Richard Gordon, presidente de este organismo.
El tifón además tiene en jaque a unas 48.000 viviendas hechas con materiales poco resistentes.
Se espera que toque tierra en las provincias de Cagayán y La Isabela la mañana de este sábado con vientos de 100 a 185 km/h, que estarán causando estragos durante al menos 18 horas.
La PAGASA advierte a la población que vive en esas dos provincias que esté preparada para marejadas de hasta 6 metros de altura.
Mangkhut es el decimoquinto ciclón tropical que azota Filipinas en el 2018, reseña Rappler. El país recibe un promedio de 20 ciclones tropicales por año.
Más de 4.800 pasajeros han quedado bloqueados en varios puertos. Docenas de vuelos nacionales e internacionales también han sido cancelados. Además, las clases fueron suspendidas para el resto de la semana.


