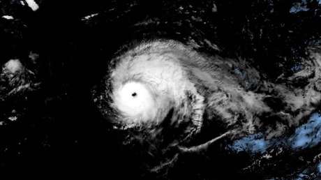
El huracán Lorenzo ha tomado una fuerza "extremadamente poderosa", convirtiéndose este 28 de septiembre en uno de categoría 5, informa el Centro Nacional de Huracanes de EE.UU. (NHC, por sus siglas en inglés). El organismo ha subrayado que ahora Lorenzo es el huracán más fuerte que se ha registrado en el extremo noreste de la cuenca del Atlántico con vientos de hasta 257 kilómetros por hora.
Lorenzo is now an extremely powerful category 5 hurricane. It is the strongest hurricane on record this far north and east in the Atlantic basin. pic.twitter.com/nUR5ugJws7
— National Hurricane Center (@NHC_Atlantic) September 29, 2019
De acuerdo con la última actualización del NHC, es un huracán extenso, "y se espera que sus campos de viento con fuerza de huracán y tormenta tropical se expandan aún más durante los próximos días".
El organismo advierte que "los vientos fuertes son cada vez más probables en las islas Azores [Portugal] el martes por la noche y el miércoles", por lo que los residentes "deben monitorear el progreso del huracán".
Además, el NHC advierte de que las fuertes olas generadas por Lorenzo continuarán extendiéndose por la parte occidental y norte de la cuenca del Atlántico durante los próximos días. "Producirá olas y corrientes de retorno que ponen en riesgo la vida", añade.
Here are the 11 pm AST Key Messages on Hurricane #Lorenzo. pic.twitter.com/6w2vUATu0F
— National Hurricane Center (@NHC_Atlantic) September 29, 2019
Este jueves Lorenzo alcanzó la categoría cuatro, convirtiéndose en el más poderoso en los últimos 30 años en el Atlántico tropical.
"Si bien su clasificación exacta se determinará más adelante, Lorenzo es uno de los huracanes más grandes y poderosos registrados para el centro Atlántico tropical", señaló entonces el Centro estadounidense, agregando que el último huracán comparable en la zona fue Gabrielle en 1989.

