El supertifón Hagibis —que según la Administración Nacional Oceánica y Atmosférica de EE.UU. (NOAA) "es de momento la tormenta más potente en la Tierra"— se está dirigiendo hacia Japón con vientos de más de 240 kilómetros por hora y se espera que toque su territorio este fin de semana.
Desde la institución informaron que cobró fuerza de forma muy rápida y se trasformó de tormenta tropical a supertifón en solo 18 horas.
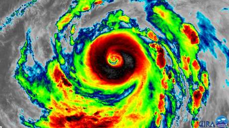
NOAA/NASA's #SuomiNPP satellite shows a remarkable close up of #SuperTyphoonHagibis, with its eye clearly visible in this infrared image from the #VIIRS instrument. Forecasters predict #Hagibis could impact #Tokyo by Saturday, where the 2019 Rugby World Cup is going on. #RWC2019pic.twitter.com/fqG3gS8e2s
— NOAA Satellites - Public Affairs (@NOAASatellitePA) October 8, 2019
A su vez, el investigador de huracanes en la Universidad Estatal de Colorado (EE.UU.), Philip Klotzbach, afirmó a través de su cuenta en Twitter que se trata de "la mayor intensificación" por parte de un ciclón tropical en el Pacífico noroccidental durante dicho período desde el tifón Yates, en 1996.
#Hagibis has intensified by 90 mph in 18 hours - from a tropical storm to a #supertyphoon. This is the most intensification by a tropical cyclone in the western North Pacific in 18 hours since Yates in 1996 also intensified by 90 mph in 18 hours. pic.twitter.com/OspbbYwr4D
— Philip Klotzbach (@philklotzbach) October 7, 2019
Mientras tanto, la Agencia Meteorológica de Japón calificó la intensidad de Hagibis de "violenta".
En ese contexto, Japan Times cita a Robert Speta, experto en tifones, quien precisó que el aumento de la fuerza de Hagibis fue "explosivo". "Pasó de una tormenta tropical a un tifón violento en cuestión de horas. De hecho, fue histórico volumen de intensidad en tan poco tiempo", destacó.
Super #Typhoon#Hagibis in the Western Pacific, seen by #Himawari8, rapidly intensified during the weekend and is continuing to gain strength, with maximum sustained winds at 150 mph and gusts up to 184 mph.More imagery: https://t.co/Qezcgo0FPApic.twitter.com/yAxOgcYruw
— NOAA Satellites (@NOAASatellites) October 7, 2019
Hagibis ya ha impactado las Islas Marianas del Norte, donde desató grandes lluvias y fuertes vientos y se prevé que la noche del próximo sábado o la mañana del domingo se acerque a la isla japonesa de Honshu. Sin embargo, los meteorólogos predicen que antes de aproximarse al territorio nipón se debilitará, y llegará ya como una tormenta de categoría 1 o 2, aunque todavía hay dudas sobre su trayectoria final.
#SuperTyphoonHagibis now has max winds of 160 mph - the 4th Category 5 #hurricane or #typhoon of the 2019 Northern Hemisphere season to date. Other three are Dorian and Lorenzo (Atlantic) and Wutip (Western North Pacific). pic.twitter.com/mtoRSRlZ5t
— Philip Klotzbach (@philklotzbach) October 7, 2019

