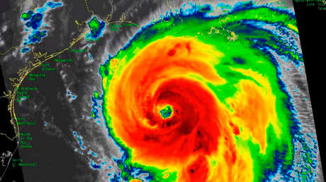
El huracán Laura, que avanza hacia los estados de Texas y Luisiana, podría convertirse en categoría 4 antes de tocar tierra y después provocar "daños catastróficos", según informó este miércoles le Centro Nacional de Huracanes (CNH).
"Las condiciones se deteriorarán rápidamente a lo largo de la costa en unas pocas horas. Es necesario que estén terminados los preparativos para proteger las vidas y propiedades", informó el centro.
Here are the 10 AM CDT Key Messages for #Laura, expected to become a category 4 hurricane before landfall. Conditions will rapidly deteriorate along the coast in a few hours. Preparations to protect life and property need to be completed. pic.twitter.com/MGXsPkWVMI
— National Hurricane Center (@NHC_Atlantic) August 26, 2020
Por su parte, el presidente de EE.UU., Donald Trump, advirtió que se trata de un huracán "muy peligroso y se intensifica rápidamente". "Mi administración permanece completamente comprometida con los coordinadores de emergencias estatales y locales para seguir preparando y ayudando a las grandes personas de Texas, Luisiana y Arkansas. Escuche a los oficiales locales. ¡Estamos con vosotros!", dijo en Twitter.
Hurricane Laura is a very dangerous and rapidly intensifying hurricane. My Administration remains fully engaged with state & local emergency managers to continue preparing and assisting the great people Texas, Louisiana, and Arkansas. Listen to local officials. We are with you! pic.twitter.com/x0JoijLUpb
— Donald J. Trump (@realDonaldTrump) August 26, 2020
Laura, que avanza con vientos de 185 km/h, podría originar "una marejada ciclónica, vientos extremos e inundaciones" a lo largo de la costa noroeste del Golfo de México. Asimismo, los meteorólogos calculan que el agua podría penetrar hasta 30 millas (unos 48 kilómetros) tierra adentro desde la línea costera.
"El Servicio Meteorológico Nacional dice que la marejada ciclónica en algunas áreas a lo largo de la costa será insuperable. Si le han dicho que evacue, hágalo ahora", advirtió el gobernador de Luisiana, John Bel Edwards, en Twitter. El funcionario también anunció que se ha desplegado a toda la Guardia Nacional.
Evacuaciones
Según CNN, se ha ordenado la evacuación obligatoria o voluntaria a más de 1,5 millones de personas en Texas y Luisiana.
"Insto a los ciudadanos de la zona a que sigan tomando todas las precauciones necesarias a medida que el huracán Laura se acerca a la costa y presten atención a las orientaciones de los oficiales locales", destacó el gobernador de Texas, Greg Abbott.
El huracán también ha puesto en peligro la industria petrolera, en especial los centros de Lake Charles en Luisiana y de Beaumont y Port Arthur en Texas.
Laura alcanzó el domingo a Cuba como tormenta tropical y tras su paso por la isla de La Española, que comparten República Dominicana y Haití, donde dejó un saldo de al menos 20 muertos, grandes extensiones habitadas completamente anegadas y cuantiosos daños materiales.


