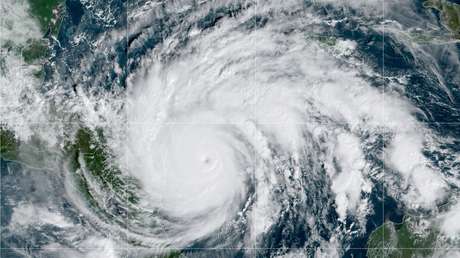
El huracán Iota se ha intensificado este 16 de noviembre y ha alcanzado la máxima categoría, 5, a su paso hacia Centroamérica, donde puede causar "vientos catastróficos, una marejada ciclónica que amenaza vidas y lluvia torrencial", ha informado el Centro Nacional de Huracanes de EE.UU. (NHC, por sus siglas en inglés).
Ha señalado, además, que el ciclón está desplazándose hacia Honduras y El Salvador a una velocidad de 14 kilómetros por hora, con vientos máximos sostenidos de más de 250 km/h.
Según la clasificación del organismo, un fenómeno de categoría 5 puede provocar "daños catastróficos", como destrucción de viviendas, mientras que la caída de árboles y postes de electricidad amenaza con "aislar las áreas residenciales". "Cortes de electricidad continuarán durante semanas hasta posiblemente meses. La mayor parte del área será inhabitable durante semanas o meses", señaló el Centro.
Recientemente, Centroamérica fue afectada por el paso de la tormenta tropical Eta, que dejó al menos un centenar de fallecidos tras fuertes inundaciones, deslizamientos y cuantiosos daños materiales en varios países de la región. El pasado 9 de noviembre el fenómeno climático tocó tierra en el sur del estado de Florida, acompañado de intensas precipitaciones y peligrosas marejadas ciclónicas.

