El huracán Rick continuará fortaleciéndose frente a las costas del Pacífico mexicano y tocará tierra este lunes entre los estados de Guerrero y Michoacán, provocando intensas lluvias y fuertes vientos en varias entidades del país, informó Servicio Meteorológico Nacional de México.
De acuerdo al organismo, se espera que fenómeno alcance la categoría 3 de la escala Saffir-Simpson a lo largo de este domingo, y que pierda intensidad durante la noche a medida que se acerca a tierra, ingresando a territorio mexicano como un huracán categoría 2.
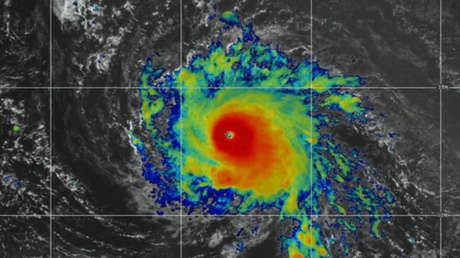
Según el último reporte emitido por la dependencia, el centro del ciclón se encuentra a unos 270 kilómetros al sur de la ciudad de Zihuatanejo (Guerrero), y a 290 km al sur del importante puerto de Lázaro Cárdenas (Michoacán), registrando vientos máximos sostenidos de 140 kilómetros por hora, y rachas de hasta 165 kilómetros por hora.
Se pronostican, para la noche de hoy, #Lluvias torrenciales en #Guerrero y #Oaxaca, y muy fuertes en #Michoacán, #Morelos y #Puebla. Más información en https://t.co/FksdagCUn1pic.twitter.com/ek9E2Qx7N8
— CONAGUA Clima (@conagua_clima) October 24, 2021
Se espera que las bandas nubosas ocasionen durante el domingo lluvias torrenciales en los estados de Guerrero, Oaxaca, Michoacán, Morelos y Puebla. Ante este panorama, las autoridades advirtieron sobre la posibilidad de deslaves, incremento en los niveles de ríos y arroyos, y desbordamientos e inundaciones en zonas bajas, por lo que exhortaron a la población a extremar precauciones y mantenerse alerta a los avisos de Protección Civil.
Permanece #Rick como #Huracán categoría 1 y se aproxima gradualmente a las costas de #Guerrero y #Michoacán. Conoce más información sobre el sistema en https://t.co/VVYNAjY7Uopic.twitter.com/uj2GMCbndx
— CONAGUA Clima (@conagua_clima) October 24, 2021
Por su parte, el presidente Andrés Manuel López Obrador, que se encuentra de gira de trabajo en Guerrero, aseguró que tanto el Ejército, la Marina y la Guardia Nacional están listos para actuar y brindar su apoyo a la población en caso de que se presente una emergencia.
Si te ha gustado, ¡compártelo con tus amigos!

