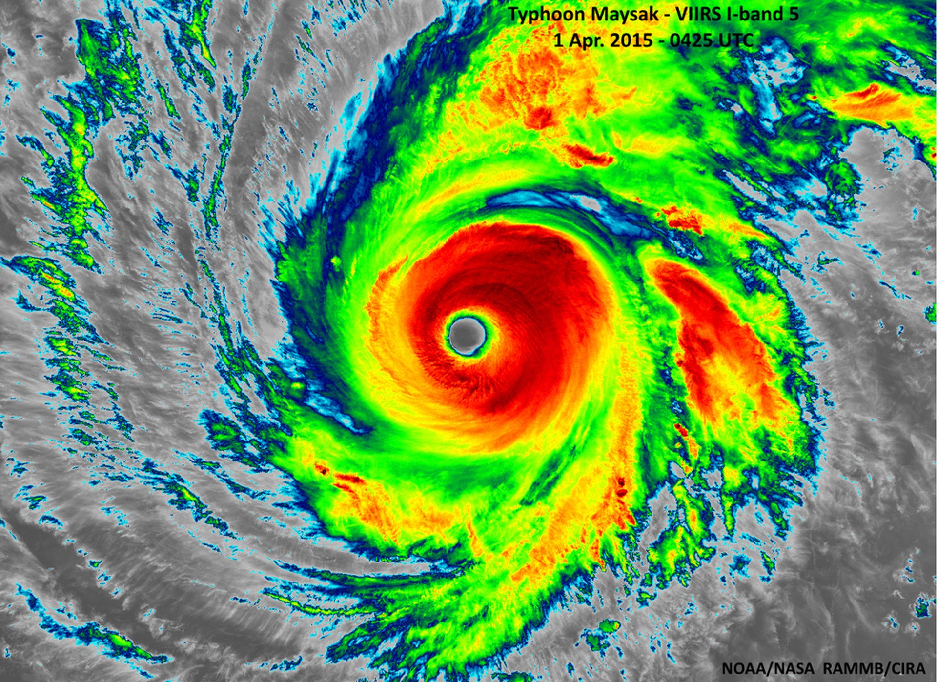
"A juzgar por el ojo del tifón, es el más grande que he visto en mi vida. Parece el agujero negro de una película de ciencia ficción", cita el periódico 'Daily Mail' el 'tuit' del astronauta de la NASA Terry Virts.

LEA TAMBIÉN: "¿Cómo protegerse de un tifón con Google?"
En el inicio de su 'viaje', el Maysak ha sido clasificado como un ciclón de categoría 5, la mayor, por lo que este miércoles se ha declarado el estado de alerta en las Filipinas. Los habitantes y turistas de la costa oriental del país han sido advertidos de que el tifón tocará tierra en algún momento durante las próximas 72 horas.

SEPA MÁS: "Fotos: Filipinas, antes y después del supertifón Haiyan"
De acuerdo con los meteorólogos, durante su avance sobre el océano Pacífico, el Maysak causó la muerte de cinco residentes de las islas Chuuk, en Micronesia, y generó vientos de más de 270 kilómetros por hora cerca de su centro, con ráfagas de hasta 330 kilómetros por hora. No obstante, se espera que se debilite hasta la categoría 2 con vientos máximos de hasta 175 kilómetros por hora cuando llegue a la parte central o septentrional de Luzón, la principal isla de las Filipinas, el sábado o el domingo.

Según informa el portal meteorológico Accuweather.com, el Maysak ya ha sido considerado uno de los ciclones más fuertes de la historia durante los meses de enero, febrero y marzo.

