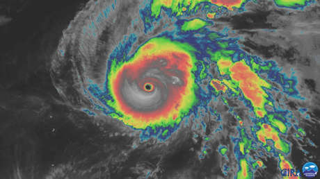
El tifón Halong, que se desplaza actualmente por el oeste del océano Pacífico a latitudes cercanas al Trópico de Cáncer, incrementó este martes su intensidad desde una mera depresión tropical hasta alcanzar la categoría 5 en apenas tres días.
El fenómeno climático ya se ha convertido en uno de los más potentes jamás observados por satélite a nivel global, desde que se llevan a cabo este tipo de registros, comenzando desde 1979, precisa el meteorólogo estadounidense Michael Lowry.
El experto destaca que se trata de un evento natural extremo, pero explica que la tormenta no representa peligro para ningún área tierra adentro.
It's no stretch to say Super Typhoon #Halong this morning is one of the strongest storms observed *globally* since satellite records began in 1979. An extreme event, but thankfully no threat to land. (satellite via @UWSSEC) pic.twitter.com/IZ2vUIGcvd
— Michael Lowry (@MichaelRLowry) November 5, 2019
En su pico de máxima intensidad —equiparable a la del devastador huracán Dorian— el tifón estuvo acompañado de ráfagas de viento cercanas a los 300 km/h.
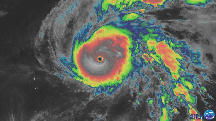
En las últimas horas, Halong comenzó a perder fuerza y actualmente descendió hasta la categoría 2, con vientos de 165 km/h.
[WPAC]Latest on Typhoon #Halong Typhoon (JMA)Category 2 Typhoon (SSHWS)Location: 23.4°N, 151.7°EWinds: 102mphPressure: 961mbMovement: NNE at 11mph2019/11/07 at 07:00 UTCHALONG CONTINUES TO WEAKEN IN THE OPEN WATERS OF THE WEST PACIFIC pic.twitter.com/WQVcvpeCmD
— Tropical Trackers (@TropicsTrackers) November 7, 2019
Si te ha gustado, ¡compártelo con tus amigos!

